Tânără care adunase 2,3 milioane de euro pentru tratament în SUA a decedat după infecție într-un spital privat din București
O tânără româncă, cunoscută pentru lupta sa epică împotriva unui cancer rar, a pierdut definitiv lupta cu boala…
O tânără româncă, cunoscută pentru lupta sa epică împotriva unui cancer rar, a pierdut definitiv lupta cu boala…
Selecționatele U20 ale României și Poloniei se confruntă în cadrul unei partide din Elite League, în direct de…
Antena 1 a modificat programul pentru joi, 26 martie, pentru a da prioritate unui eveniment sportiv de importanță…
Traficul din București va fi afectat semnificativ în acest sfârșit de săptămână, datorită unei serii de evenimente majore…
Actorul sud-coreean Lee Sang Bo a fost găsit decedat pe 26 martie, la vârsta de 45 de ani.
Primăria Sectorului 1 orchestrează schimbări esențiale în circulația rutieră și sistemul de parcare Din această săptămână, traficul din…
Premierul Ilie Bolojan a anunțat vineri, 27 martie, că guvernul pregătește o a doua intervenție pentru a tempera…
Aryna Sabalenka s-a calificat în finala prestigiosului turneu WTA 1000 de la Miami, după o victorie clară în…
Finala feminină de la Miami Open, unul dintre cele mai importante turnee ale sezonului WTA, promite să fie…
Transportul în București se extinde: Linia 196 va avea un nou traseu de sâmbătă, 28 martie 2026 Bucureștiul…
HBO lansează primul teaser oficial al serialului Harry Potter, cu debutul programat pentru 25 decembrie 2026 HBO a…
Aryna Sabalenka, lidera mondială a tenisului feminin, s-a calificat în finala Miami Open după o victorie categorică în…
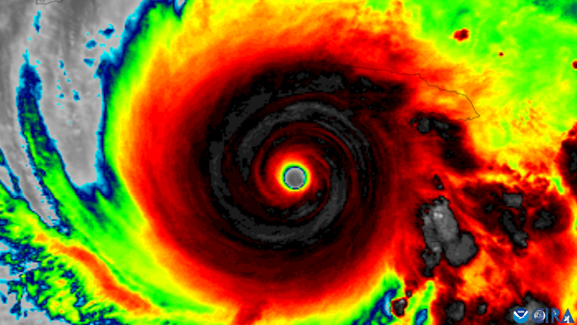
Se anunță o sezon de uragane mai moderat pentru 2026, însă coastă Texasului, precum și zonele din Golful…
Serialul românesc „Ana, Mi-ai fost scrisă în ADN” a înregistrat din nou cifre impresionante la nivelul audiențelor, cu…
Primăria Capitalei continuă să caute soluții pentru blocul din Rahova, afectat grav în octombrie 2025 în urma unei…